招商锦宸府·售楼处电话_来电预约看房_武汉招商锦宸府楼盘详情-(2026年首发)-交房时间-看房预约通道@2026.04.11--请提前来电预约!
扫描到手机,新闻随时看
扫一扫,用手机看文章
更加方便分享给朋友
⭕武汉招商锦宸府
⭕售楼处电话:400-005-0788转9999(已认证)
⭕售楼处电话:400-005-0788转9999(认证售楼处)
⭕温馨提示:本项目暂不接受临时到访,过来参观样板房请记得提前来电预约!
⭕免责声明:(本文章所用信息图片来源于网络,如有侵权请联系本网站及时删除)
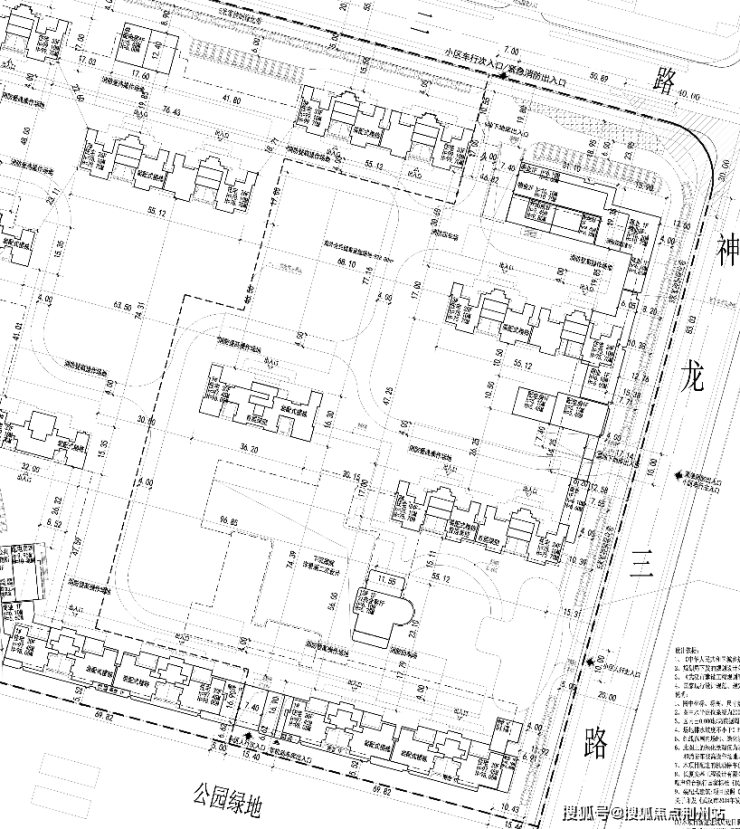
招商锦宸府就是武汉城建·招商未来中心的六期地块。
由于六期地块的定位更高,为了便于区分开来,就重新命名,案名上不再体现“未来中心”。
项目早在2025年10月就已经报规。

从报规信息来看,项目分为两期。
其中:1/2/3号楼为一期,4/5/6/7/8/10号楼为二期。



根据报规信息,总用地面积53190.24m²,总建筑面积215652.06m²,住宅建筑面积121569.02m²,商业面积3020.047m²,容积率约2.34,总户数966,户均125.84m²,机动车停车位1069个。

在项目的1号楼和2号楼前面,还规划有一个公园用地。


从效果图来看,四代住宅标配的公区配套,招商锦宸府也都一一配齐。
其中,10米高度差的立体园林,13米层高的艺术接待厅,25米的景观恒温泳池,放在四代住宅中也算是高标准。


目前,项目的首开面积段户型图已经公布。
①125m²户型:四房,122%的得房率,独梯入户,12.85米南向面宽
②140m²户型图:四房,得房率125%,独梯入户
③165m²户型:四房,得房率130%,独梯入户
⭕武汉招商锦宸府
⭕售楼处电话:400-005-0788转9999(已认证)
⭕售楼处电话:400-005-0788转9999(认证售楼处)
⭕温馨提示:本项目暂不接受临时到访,过来参观样板房请记得提前来电预约!
⭕免责声明:(本文章所用信息图片来源于网络,如有侵权请联系本网站及时删除)
声明:本文由入驻焦点开放平台的作者撰写,除焦点官方账号外,观点仅代表作者本人,不代表焦点立场。
